Monte Laa - Laaer-Berg-Strasse 47-49 - Bauplatz 6

Für die Bewohnerinnen und Bewohner aller andere Häuser in und um Monte Laa
Benutzeravatar
Velibor
Administrator/in
Beiträge: 2316
Registriert: So Jul 08, 2007 21:22
Wohnort: Moselgasse 12
Kontaktdaten:

Monte Laa - Laaer-Berg-Strasse 47-49 - Bauplatz 6

Beitrag von Velibor » Di Sep 01, 2009 21:04

Hier einige Zeichnungen über die Planung des Bauplatzes 6: Ecke Laaer-Berg-Strasse / Urselbrunnengasse.
Campus Monte Laa und Meandrino sind auch zu sehen.

Entworfen von AN-Architects: http://www.an-architects.net
Dateianhänge
MonteLaa-Campus_Meandrino_Bauplatz6_AN-Architects-017.jpg
MonteLaa-Campus_Meandrino_Bauplatz6_AN-Architects-016.jpg
MonteLaa-Campus_Meandrino_Bauplatz6_AN-Architects-015.jpg
MonteLaa-Campus_Meandrino_Bauplatz6_AN-Architects-004.jpg
MonteLaa-Campus_Meandrino_Bauplatz6_AN-Architects-003.jpg
MonteLaa-Campus_Meandrino_Bauplatz6_AN-Architects-001.jpg

Benutzeravatar
Velibor
Administrator/in
Beiträge: 2316
Registriert: So Jul 08, 2007 21:22
Wohnort: Moselgasse 12
Kontaktdaten:

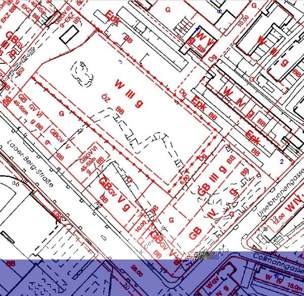
Laaer-Berg-Strasse 47-49 - Widmung

Beitrag von Velibor » So Sep 06, 2009 9:47

Monte Laa - 1100, Laaer-Berg-Strasse 47-49 - Widmung

Für die Bauten Laaer-Berg-Strasse Ecke Urselbrunnengasse sind im aktuellen Widmungsplan folgende Bauklassen vorgesehen:
Laaer-Berg-Strasse 47 und 49: Bauklasse V (16m – 26m)
Ecke Urselbrunnengasse: Bauklasse IV ( 12m – 21m) und III (9m – 16m)

Zum Vergleich:
Moselgasse 10-14 und Campus: Bauklasse III,
Urselbrunnengasse (Tanzende Säulen) – Bauklasse IV
Meandrino Türme – Bauklasse V

Bauklasse: mindestens - höchstens (in Meter)
III: 9m – 16m
IV: 12m – 21m
V: 16m – 26m
VI: mind. 26m

Zum vergrößern bitte „anklicken“.
Dateianhänge
Monte Laa - 1100, Laaer-Berg-Strasse 47-49 - Widmung
Monte Laa - 1100, Laaer-Berg-Strasse 47-49 - Widmung

hobbybauer
Beiträge: 8
Registriert: Do Aug 13, 2009 14:28

Re: Monte Laa - Bauplatz 6 - Planung

Beitrag von hobbybauer » Mi Sep 09, 2009 13:22

Na.Schaut ja nicht schlecht aus?! :) Weisst Du auch wann Baubeginn ist und welche Geschäfte dort reinkommen? Weil ich hab gehört unter anderm ein grosser Interspar?!Soll so eine Art kleines Shoppingcenter werden?! LG

Benutzeravatar
Velibor
Administrator/in
Beiträge: 2316
Registriert: So Jul 08, 2007 21:22
Wohnort: Moselgasse 12
Kontaktdaten:

Re: Monte Laa - Bauplatz 6 - Planung

Beitrag von Velibor » Mi Sep 09, 2009 17:00

Baubeginn ist noch nicht bekannt. Das gilt auch für alle Bauplätze. :sad:

Die Planung für die Monte Laa Türme ist am weitesten vorangeschritten.
Lassen wir uns überraschen.
So bald es neue Infos gibt, werden diese hier zu lesen sein. :yes:

Benutzeravatar
Patrick_T
Beiträge: 281
Registriert: Mi Sep 26, 2007 10:39
Wohnort: Moselgasse 4/Stiege 1

Re: Monte Laa - Laaer-Berg-Strasse 47-49 - Bauplatz 6

Beitrag von Patrick_T » Di Feb 02, 2010 9:39

am liebsten wärs mir wenns dort gar nix mehr hinbaun sondern einfach einen park draus machen! :) wär doch für alle am schönsten! ;)
Originalität muß man haben, nicht danach streben.

Wir hassen bald, was oft uns Furcht erregt aus William Shakespeare's - Antonius und Cleopatra

Benutzeravatar
Yannis
Beiträge: 148
Registriert: Mi Mär 10, 2010 17:03

Re: Monte Laa - Laaer-Berg-Strasse 47-49 - Bauplatz 6

Beitrag von Yannis » Mo Jun 07, 2010 20:59

Ganz genau, dass trifft des Pudels Kern! :hurrah:

Benutzeravatar
Velibor
Administrator/in
Beiträge: 2316
Registriert: So Jul 08, 2007 21:22
Wohnort: Moselgasse 12
Kontaktdaten:

Re: Monte Laa - Laaer-Berg-Strasse 47-49 - Bauplatz 6

Beitrag von Velibor » Mo Jun 07, 2010 21:55

Hallo Leute,

das ist leider ein Bauland und da wird gebaut. :sad:
Für Moselgasse 21 sollen wir schauen, dass die "Sportplatz-Widmung" erhalten bleibt. :howdy:
:arrow: Moselgasse 21 = Erholungsgebiet Sport- und Spielplatz

Liebe Grüße
Velibor

Benutzeravatar
Alfred
Administrator/in
Beiträge: 1614
Registriert: Di Jul 29, 2008 22:14
Wohnort: Wien Moselgasse 26/9

Re: Monte Laa - Laaer-Berg-Strasse 47-49 - Bauplatz 6

Beitrag von Alfred » Mi Feb 09, 2011 13:24

Ich weiß nicht, ob nach so vielen Jahre die alten Architektenentwürfe noch irgendeinen Wert haben , hier sind die alten Skizzen für den Bauplatz 6:
http://www.an-architects.net/de/projekt ... aeftshaus/

Als Wohn- und Geschäfts-Gebäude geplant (jetzt wahrscheinlich Wohn- und Bürogebäude), ist dieses Bauprojekt nach Fertigstellung der letzten Wohnbauten in der Collmanngasse und der Moselgasse das nächste in Monte Laa, in dem Wohnungen errichtet werden. Vielleicht wird ja schon heuer mit dem Bau begonnen, das Grundstück wurde jedenfalls schon vor der Gültigkeit des neuen Flächenwidmungsplans eingeebnet.

Benutzeravatar
Velibor
Administrator/in
Beiträge: 2316
Registriert: So Jul 08, 2007 21:22
Wohnort: Moselgasse 12
Kontaktdaten:

Re: Monte Laa - Laaer-Berg-Strasse 47-49 - Bauplatz 6

Beitrag von Velibor » Fr Feb 17, 2012 10:43

Eine Vormerkung für eine Wohnung ist ab jetzt möglich.
Geschäftslokal wird auch angeboten.
:arrow: https://www.montelaa.at/2493

Anna
Beiträge: 7
Registriert: Do Mai 06, 2010 11:07
Wohnort: Moselgasse 27

Re: Monte Laa - Laaer-Berg-Strasse 47-49 - Bauplatz 6

Beitrag von Anna » Sa Apr 21, 2012 9:23

In der Website von FamilienWohnbau steht:

1100 Wien, Laaerberg Straße 49
132 freifinanzierte Eigentumswohnungen
Es ist die Errichtung von 132 freifinanzierten Eigentumswohnungen geplant - es wird 2- bis 5-Zimmer-Wohnungen zwischen 65 m² und 110 m² mit großzügigen Freiflächen geben.

Also Eigentums-, nicht Mietwohnungen.

Benutzeravatar
Velibor
Administrator/in
Beiträge: 2316
Registriert: So Jul 08, 2007 21:22
Wohnort: Moselgasse 12
Kontaktdaten:

Re: Monte Laa - Laaer-Berg-Strasse 47-49 - Bauplatz 6

Beitrag von Velibor » Mi Nov 21, 2012 23:51

Die Vorbereitungsarbeiten für den Bau des Gebäudes am Bauplatz 6 haben schon begonnen.
Es wird das letzt-geplante Wohnhaus in Monte Laa gebaut.
In der Erdgeschosszone wird es Geschäfte geben. :arrow: Laaer-Berg-Strasse 49 - welche Geschäfte - Umfrage?
Dateianhänge
MonteLaa_Bauplatz6-20121121_095234.jpg
MonteLaa_Bauplatz6-20121121_095244.jpg
MonteLaa_Bauplatz6-20121121_095259.jpg
MonteLaa_Bauplatz6-20121121_095426.jpg
MonteLaa_Bauplatz6-20121121_095959.jpg
MonteLaa_Bauplatz6-20121121_100205.jpg

Benutzeravatar
petra&wolfgang
Beiträge: 51
Registriert: Di Apr 15, 2008 21:21
Wohnort: Moselgasse 16/1

Re: Monte Laa - Laaer-Berg-Strasse 47-49 - Bauplatz 6

Beitrag von petra&wolfgang » Mo Dez 17, 2012 18:40

bis wann soll die anlage fertig sein?

christoph
Beiträge: 6
Registriert: Mi Dez 17, 2008 8:21

Re: Monte Laa - Laaer-Berg-Strasse 47-49 - Bauplatz 6

Beitrag von christoph » Mi Jan 02, 2013 14:17

Weiss man schon welche Geschäfte in das Erdgeschoss kommen sollen ?

Wann wird das ganze fertig sein ?

Benutzeravatar
Alfred
Administrator/in
Beiträge: 1614
Registriert: Di Jul 29, 2008 22:14
Wohnort: Wien Moselgasse 26/9

Re: Monte Laa - Laaer-Berg-Strasse 47-49 - Bauplatz 6

Beitrag von Alfred » So Apr 14, 2013 23:07

Am Baustellenzaun hängt eine Zettelbox mit Informationen über das Projekt:

Fertigstellung Ende 2014; es entstehen 132 freifinanzierte Mietwohnungen. Am Zaun zur Laaerbergstraße steht: 131 Mietwohnungen und 5 Geschäftslokale.

Wohnungsgrößen: 65 m² bis 115m² (2 bis 4 Zimmer), wobei jede Wohnung Freiflächen wie Loggia, Balkon oder Terrasse haben wird. Teilweise gibt es Maisonettenwohnungen.
Freiraum für Kinder: Spielraum, Kleinkinderspielplatz, Kinder- und Jugendspielterrasse am Dach. In jedem Geschoß wird es einen Kinderwagenabstellraum geben.

Im Haus werden sich ein Supermarkt (am Plakat vor Ort sieht man das Logo einer Hofer-Filiale) und eine Drogerie befinden.

Auf der Rückseite des Zettels sind einige Grundrisstypen von 2-Zimmer, 3-Zimmer und 4-Zimmer-Wohnungen abgebildet.
Im Internet unter http://www.familienwohnbau.at/Regionat/ ... etail.aspx stehen noch keine Pläne zur Verfügung.

Benutzeravatar
Alfred
Administrator/in
Beiträge: 1614
Registriert: Di Jul 29, 2008 22:14
Wohnort: Wien Moselgasse 26/9

Re: Monte Laa - Laaer-Berg-Strasse 47-49 - Bauplatz 6

Beitrag von Alfred » Mi Aug 20, 2014 7:34

Der Gehsteig auf dieser Seite kann jetzt benutzt werden, da der Baustellenzaun entfernt wurde. Es wurden Bäume und Sträucher gesetzt. Die zukünftige Hofer-Filiale zeigt mit einem Schild am Gebäude bereits Flagge. Drinnen wird bereits an der Inneneinrichtung gearbeitet. Bei der DM-Filiale am anderen Ende des Gebäudes steht: Eröffnung Herbst 2014.

Gesperrt

Zurück zu „Für alle anderen Häuser (und Bauplätze) in und um Monte Laa“

cron